Huracán Melissa impacto el Este de Cuba
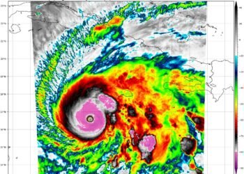
Este Miércoles el huracán Melissa toco tierra al este de Cuba como categoría 4, causando destrozos e inundaciones a su ...
Este Miércoles el huracán Melissa toco tierra al este de Cuba como categoría 4, causando destrozos e inundaciones a su ...
El poderoso huracán Melissa tocó tierra este martes en Jamaica con vientos feroces y lluvias torrenciales, convirtiéndose en la tormenta más fuerte ...
El huracán Melissa comenzó a azotar Jamaica con violentas ráfagas el lunes, mientras el Centro Nacional de Huracanes de Estados ...
El huracán Melissa causó estragos en el Caribe el domingo, alcanzando la categoría 4 mientras avanzaba lentamente hacia las islas caribeñas de Jamaica y ...
"Melissa" se convirtió en huracán categoría 1 este sábado en el Caribe, donde se espera que gane intensidad rápidamente hasta llegar a ...
el huracán Priscilla se mantiene en categoría 2. Su centro se localiza a 320 km al sur-suroeste de Cabo San ...
La tormenta tropical Priscila se intensifica a huracán categoría 1, amenaza la zona costera del pacífico mexicano entre los estados ...