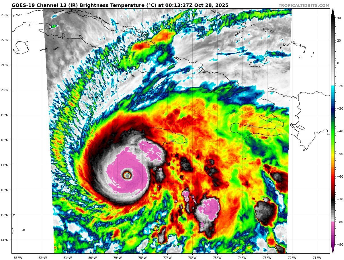
El huracán Melissa comenzó a azotar Jamaica con violentas ráfagas el lunes, mientras el Centro Nacional de Huracanes de Estados Unidos (CNH) lo elevó a categoría 5 con vientos sostenidos de 265 kilómetros por hora, los mayores que han azotado la isla caribeña, según los registros.
Cuba, el este de las Bahamas y las Islas Turcas y Caicos también se encuentran en la trayectoria prevista de la tormenta, que se dirigirá hacia el norte y el este en dirección a las Bermudas a finales de esta semana.
Se espera que el huracán se mantenga lejos de la costa de Estados Unidos y que solo provoque fuerte oleaje y pequeñas inundaciones costeras en la costa este del país.
El lunes al mediodía (1600 GMT), Melissa todavía se encontraba a 230 kilómetros al suroeste de Kingston, y a unos 530 kilómetros al suroeste de Guantánamo, en Cuba, según el CNH en Miami.
El huracán se arrastraba hacia el oeste a 5 kilómetros por hora, dijo el centro, pero es probable que haga un giro hacia el norte-noreste a través de Jamaica a finales del lunes y el martes.
El lento movimiento de la tormenta sobre el agua inusualmente tibia del Caribe ha contribuido al aumento de su tamaño y fuerza, dijeron los pronosticadores del centro, amenazando a Jamaica con días de vientos catastróficos nunca antes vistos y hasta 90 centímetros de lluvia.























